$70,000
$79,900
12.4%For more information regarding the value of a property, please contact us for a free consultation.
0.26 Acres Lot
SOLD DATE : 12/08/2025
Key Details
Sold Price $70,000
Property Type Vacant Land
Listing Status Sold
Purchase Type For Sale
Subdivision Loudon County - 32
MLS Listing ID 1311528
Sold Date 12/08/25
HOA Fees $30/mo
Annual Tax Amount $206
Lot Size 0.262 Acres
Acres 0.26
Source East Tennessee REALTORS® MLS
Property Description
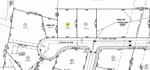
Great opportunity to build your dream home here! Basement lot with common area adjoining the left side of the property adding privacy. All utilities including water/sewer, gas & electric available. Lot is rectangular at 87.87 feet across the front and 130 feet deep. Building setbacks are... Front = 25 feet, Sides = 10 feet and Rear = 20 feet.
Location
State TN
County Loudon County - 32
Area Loudon County - 32
Zoning Zoned Residential
Direction From Hwy 321 in Lenoir City, turn onto Town Creek Pkwy. At round-a-bout, turn Left onto Sugar Maple Trail. Drive to the top of the hill and back down the hill. Turn left onto English Oak Lane and lot 74 is toward the cul-de-sac on the right.
Exterior
Community Features Sidewalks
Utilities Available Cable TV
View Other, Country Setting, Wooded
Building
Lot Description Rolling, Rolling Slope
Others
Acceptable Financing Cash, Conventional
Listing Terms Cash, Conventional
Read Less Info
Want to know what your home might be worth? Contact us for a FREE valuation!

Our team is ready to help you sell your home for the highest possible price ASAP
GET MORE INFORMATION

Agent | License ID: 354366
308 N PETERS RD. STE 225, KNOXVILLE, TN, 37922, United States






